「鵜の木」駅 徒歩3分の好立地!
【特徴・設備】
■東急多摩川線「鵜の木」駅 徒歩3分
■大田区鵜の木アドレス
■周辺環境に恵まれた閑静な住宅地
■建築条件なし売地
■お好きなハウスメーカー・工務店をご利用いただけます。
■複数台駐車スペースご検討可能!※建物プラン・車種によります。

物件検索より最新の物件をお探しください。
| 価格 | ***万円 |
毎月の返済額 (目安) |
|
|---|---|---|---|
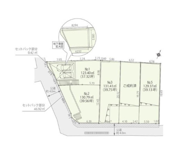
| 土地面積 | 130.79m2(約39.56坪) | ||
| 建物面積 | - | ||
| 築年月 | - | 間取り | - |
| 建ぺい率 | 50% | 容積率 | 100% |
| 所在地 | 東京都大田区鵜の木3 | ||
| 交通 | 東急多摩川線「鵜の木駅」徒歩3分 | ||
【特徴・設備】
■東急多摩川線「鵜の木」駅 徒歩3分
■大田区鵜の木アドレス
■周辺環境に恵まれた閑静な住宅地
■建築条件なし売地
■お好きなハウスメーカー・工務店をご利用いただけます。
■複数台駐車スペースご検討可能!※建物プラン・車種によります。

| 物件名 | 大田区鵜の木1丁目 土地 2区画 | ||
|---|---|---|---|
| 種別 | 土地 | ||
| 所在地 | 東京都大田区鵜の木3 | ||
| 交通 |
東急多摩川線「鵜の木駅」徒歩3分 |
||
| 問合せ番号 | 2243 | ||
| 価格 | ***万円 | 借地料 | ***円 |
| 借地期間 | - | その他費用 | ***円 |
| 土地面積 | 130.79m2(約39.56坪) | 建物面積 | - |
| バルコニー面積 | - | 庭面積 | - |
| 構造 | - | 総階数 | - |
| 築年月 | - | 間取り | - |
| 方角 | - | 駐車場 | - |
| 土地権利 | 所有権 | 用途地域 | 第一種低層住居専用地域 |
| 地目 | 宅地 | 私道負担 | - |
| セットバック | - | 建ぺい率 | 50% |
| 容積率 | 100% | 接道状況 | 南側 約4.0m 公道 ・ 南西側 約4.0m 公道 |
| 都市計画 | 市街化区域 | 国土法届出 | - |
| 建築条件 | - | 取引態様 | 仲介 |
| 小学校学区 | - | 周辺情報 | - |
| 現況 | 成約済 | 引渡し | *** |
| 更新日 | 2025年11月6日 | ||
設備/上水道・下水道・都市ガス
※建物周辺情報はGoogleMapを使用しており、実際とは若干異なる場合がございます。
掲載情報について

物件写真 物件画像1